"Dorian" deja destrozos e inundaciones en Bahamas; azota como huracán de categoría 4

02/09/2019 - 2:49 pm

El archipiélago de las Bahamas está acostumbrado a los huracanes. Requiere que las viviendas tengan refuerzos metálicos para las vigas del techo para resistir vientos de un huracán de categoría 4, y el cumplimiento generalmente es estricto para aquellas personas que puedan pagarlo. Los riesgos son mayores en los vecindarios pobres, donde hay casas de madera en zonas de poca elevación.

Luego de abandonar las Bahamas, se pronostica que"Dorian" se dirija al norte, pasando a entre 64 y 80 kilómetros (40 y 50 millas) de distancia de Florida, con vientos de fuerza de huracán que se extiendan 56 kilómetros (35 millas) al oeste.

Por Ramón Espinosa y Dánica Coto 

FREEPORT, Bahamas (AP) — El huracán "Dorian" se cernía sobre las Bahamas el lunes, azotando las islas con un temible ataque de categoría 4 que destrozó techos, arrojó automóviles y forzó a los socorristas a mantenerse refugiados hasta que pasara el impacto de la tormenta.

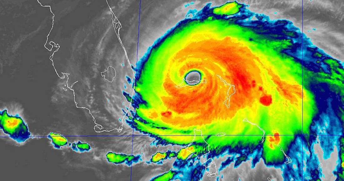
Los vientos máximos sostenidos de "Dorian" se redujeron ligeramente a 250 kilómetros por hora (155 millas por hora) y su movimiento con dirección al oeste desaceleró hasta casi un punto muerto. El sistema se arrastraba por la isla de Gran Bahama a una velocidad de apenas 2 kilómetros por hora (1 mph) y se pronostica que generará una marejada de entre 6 y 7 metros (18 y 23 pies).

“Necesitamos que se refugien”, pidió a la gente Kwasi Thompson, Ministro de Estado para la isla de Gran Bahama. “Van a pasar otras 10-12 horas en las que vamos a ser bombardeados con esto”.

Thompson y otros funcionarios dijeron que recibieron llamadas de socorro sobre inundaciones con niveles de agua cada vez más altos, pero los rescatistas no acudieron a los sitios debido a las condiciones peligrosas.

El domingo el huracán pegó con fuerza contra la isla de Abaco con fuertes vientos y oleaje, y provocó fuertes inundaciones. Foto: Ramon Espinosa. AP

“Están listos para acudir a esas zonas tan pronto como el clima ceda”, comentó.

En tanto, en Estados Unidos el Centro Nacional de Huracanes extendió las alertas y avisos a lo largo y ancho de las costas de Florida y Georgia. Los meteorólogos prevén que "Dorian" se mantenga frente a la costa, pero el meteorólogo Daniel Brown advirtió que “tan sólo una pequeña desviación” podría conducir el peligroso centro de la tormenta hacia tierra firme.

Los vientos máximos sostenidos de la tormenta habían disminuido ligeramente a 240 kilómetros por hora (150 millas por hora) para las 14:00 horas (hora del este) el lunes. Se movía a lo largo de la isla Gran Bahama a una velocidad de apenas 2 kilómetros por hora (1 millas por hora).

En Freeport, Dave Mackey tomó un video en el que muestra el agua y los escombros flotando alrededor de su vivienda mientras el viento azotaba el exterior.

“Nuestra casa está a 4 metros (15 pies) de altura y ahora mismo hay agua que está a alrededor de 2 metros (8 pies). Así que estamos bastante preocupados porque no tenemos una marea alta”, comentó Mackey, quien compartió el video con The Associated Press. “La puerta del garaje ya se desprendió... Una vez que podamos salir vivos de esto, estaremos felices”.

Los meteorólogos esperan que"Dorian" empiece a alejarse de las Bahamas el martes por la mañana. Foto: AP

El domingo el huracán pegó con fuerza contra la isla de Abaco con fuertes vientos y oleaje, y provocó fuertes inundaciones mientras la gente llamaba a las estaciones de radio y enviaba mensajes desesperados en las redes sociales para encontrar a sus familiares y amigos.

“Tuvimos un daño catastrófico aquí en Abaco”, dijo Darren Henfield, miembro del Parlamento, a los reporteros. Añadió que las autoridades todavía no tenían información sobre lo que sucedió en zonas aledañas. “Estamos en un modo de búsqueda y recuperación... Sigan rezando por nosotros”.

La información comenzaba a emerger de las islas afectadas: la empresa de electricidad Bahamas Power and Light reportó que había un apagón total en Nueva Providencia, la isla más poblada del archipiélago. También señaló que la oficina de la compañía en la isla Abaco fue arrasada por la tormenta.

“Los reportes que salen de Abaco no son buenos”, dijo Quincy Parker, vocero de la empresa eléctrica, a la estación de radio ZNS Bahamas.

La mayoría de la gente acudió a refugios mientras la tormenta se acercaba. Los hoteles cerraron sus puertas y los residentes cubrieron con tablas de madera sus casas. Sin embargo, se pronosticaba que muchas personas se quedaran sin un hogar.

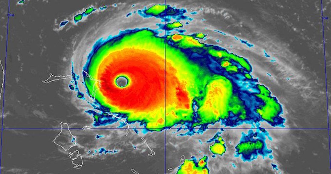
Los vientos sostenidos máximos de"Dorian" alcanzaron el domingo los 297 kilómetros por hora (185 millas por hora) con ráfagas de hasta 354 kilómetros por hora (220 millas por hora), igualando el récord del huracán atlántico más fuerte en tocar tierra del que se tenga registro.

“Necesitamos que se refugien”, pidió a la gente Kwasi Thompson, Ministro de Estado para la isla de Gran Bahama. Foto: Ramón Espinosa, AP

Solo hay una tormenta atlántica más potente documentada, el huracán Allen de 1980, con vientos de hasta 305 kilómetros por hora (190 millas por hora), aunque no tocó tierra firme con esa fuerza.

Los meteorólogos esperan que"Dorian" empiece a alejarse de las Bahamas el martes por la mañana y virase hacia el noreste, en paralelo a la costa sureste de Estados Unidos.

Un aviso del centro de huracanes alertó que la costa este y central de Florida podría registrar un tornado pequeño en algún momento de la tarde o noche del lunes.

El Gobernador de Carolina del Sur, emitió una orden el domingo para la evacuación obligatoria de toda la costa del estado. La orden, que afecta a unas 830 mil personas, entraba en vigencia el lunes a mediodía, cuando se esperaba que los patrulleros estatales desviaran la circulación de las grandes autopistas costeras para que todos los carriles llevaran tierra adentro.

“No podemos hacer feliz a todo el mundo, pero creemos que podemos a mantener a todo el mundo con vida”, dijo McMaster.

El gobernador de Georgia, Brian Kemp, ordenó evacuaciones obligatorias para la costa atlántica del estado, también a partir del lunes a mediodía.

En Florida se ordenaron evacuaciones en algunas zonas costeras vulnerables. El gobernador de Carolina del Norte, Roy Cooper, advirtió que el estado podría recibir aguaceros, vientos e inundaciones esta semana.

"Dorian" tocó tierra el domingo en Cayo Elbow, en la isla de Abaco, y más tarde cerca de Marsh Harbour. Se reportaron marejadas ciclónicas de 5.5 a 7 metros (18 a 23 pies).

El archipiélago de las Bahamas está acostumbrado a los huracanes. Requiere que las viviendas tengan refuerzos metálicos para las vigas del techo para resistir vientos de un huracán de categoría 4, y el cumplimiento generalmente es estricto para aquellas personas que puedan pagarlo. Los riesgos son mayores en los vecindarios pobres, donde hay casas de madera en zonas de poca elevación.

Luego de abandonar las Bahamas, se pronostica que"Dorian" se dirija al norte, pasando a entre 64 y 80 kilómetros (40 y 50 millas) de distancia de Florida, con vientos de fuerza de huracán que se extiendan 56 kilómetros (35 millas) al oeste.

El centro de huracanes emitió una alerta para la costa este de Florida, desde Deerfield Beach hacia el norte hasta Altamaha Sound en Georgia. Un aviso de marejada ciclónica se amplió hacia el norte de la costa de Georgia hasta el río Savannah. El lago Okeechobee, en Florida, también estaba bajo alerta de tormenta tropical.

El tránsito durante el fin de semana en Florida fue ligero pese a las múltiples órdenes de evacuación, a diferencia del caos que se produjo en 2017 por el huracán Irma, cuando la tormenta inusualmente amplia amenazó todo el estado.

AP

AP

Lo dice el reportero